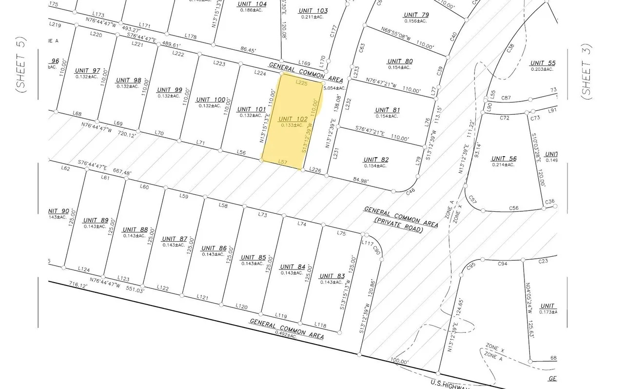
Site 102

RV Site

Resort Name:

Arch Ray Resorts

Location:

5060 E. US HWY 290 Fredericksburg, TX 78624

Price:

$165,000

Property Overview

Site 102 is a desirable .13-acre cabin homesite located within the highly sought-after Arch Ray on the River community in Fredericksburg, Texas. Priced at $165,000, this is one of the best-priced cabin sites currently available in the resort, offering exceptional value for buyers looking to build their Hill Country retreat. This deeded cabin site allows for the construction of a custom cottage within established architectural guidelines, making it ideal for a personal getaway, full-time residence, or future investment property. Owners enjoy a luxury resort lifestyle with access to paved roads, gated entry, and the unique convenience of being steps from the on-site restaurant, winery, brewery, distillery, and live music venue. Arch Ray on the River is conveniently located just minutes from downtown Fredericksburg and approximately one hour from both Austin and San Antonio, placing you in the heart of Texas Hill Country wine country while still offering easy city access. Affordable cabin sites at this price point are increasingly rare-don’t miss this opportunity to secure your place in one of the area’s most distinctive resort communities.

https://outdoorresortrealestate.com/arch-ray-resort/

Features & Amenities

Location

Media

Request More Information About this Property

Lisa Richart-Hernandez

Arch Ray RV Lots for Sale

(843) 810-0403

lisa@lisarichart.com

http://www.lisarichart.com/